Marine Biodiversity Data Portal - NI

Pawle Is, Strangford Lough.

[Site list for year 1983]

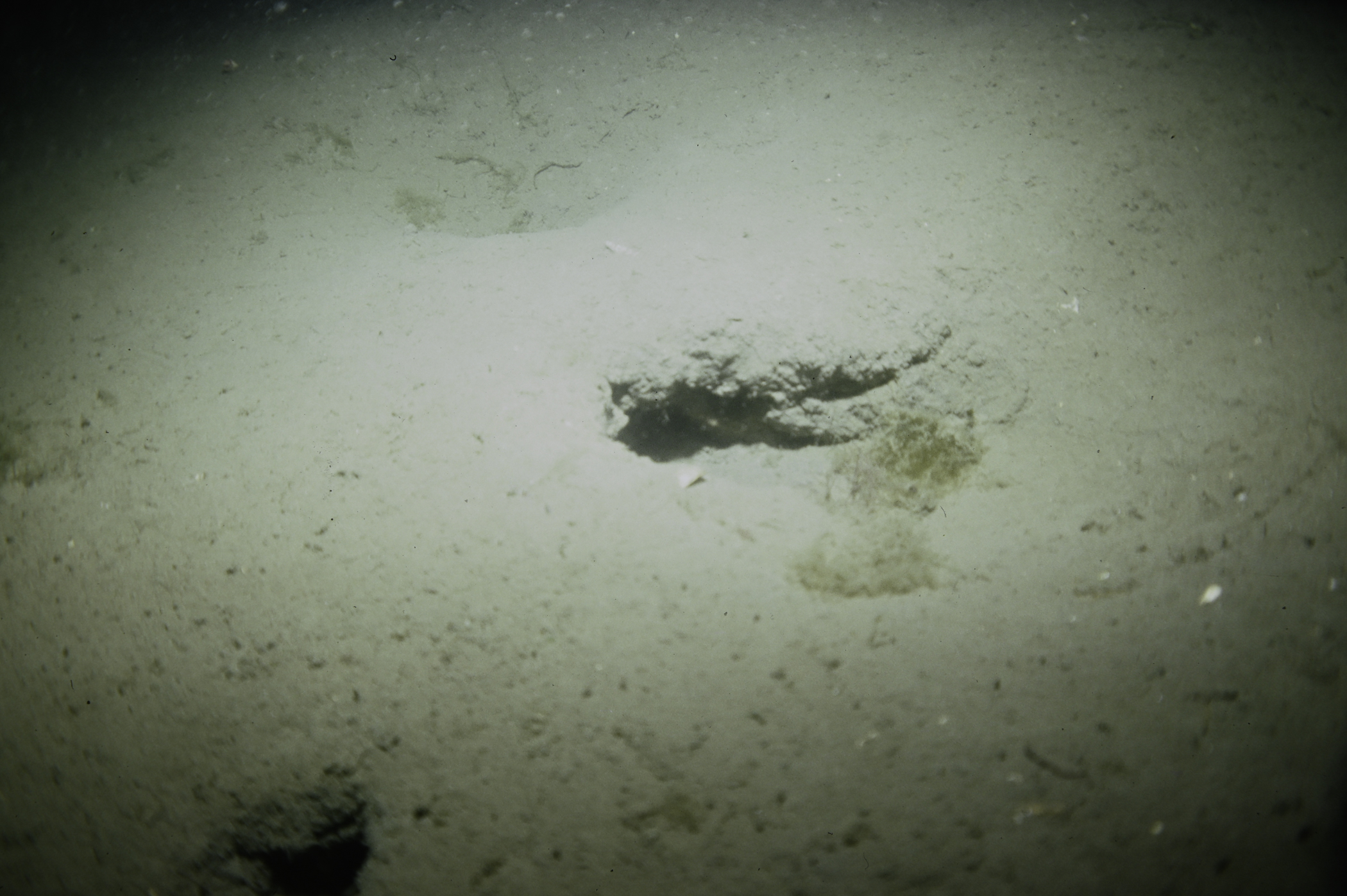
Survey number: 550 Event number: 19830808/03 Date: 1983-08-08 GPS: 54.44183,-5.60683 [ View map ]

Site Description: Nephrops bed with many burrows but fairly barren otherwise.

niss_5925.jpg niss_5928.jpg niss_5931.jpg niss_5934.jpg niss_5937.jpg


Previous site Next site